BMKG Imbau Waspada! Tiga Siklon Akitf Kepung Indonesia

Pedomanrakyat.com, Jakarta – Kepala Badan Meteorologi, Klimatologi, dan Geofisika (BMKG) Teuku Faisal Fathani menyampaikan saat ini ada tiga siklon yang berada di dekat wilayah Indonesia. Ketiganya yaitu siklon Bakung, bibit siklon 93S, dan bibit siklon 95S.
Hal itu disampaikan Faisal dalam Sidang Kabinet Paripurna bersama Presiden Prabowo Subianto di Istana Negara, Senin (15/12/2025).
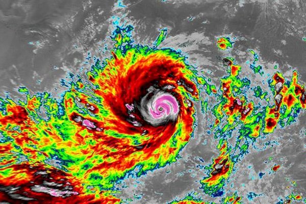
Faisal mengatakan siklon Bakung berkembang di barat daya Lampung dan bergerak menjauhi Indonesia. Namun, berdasarkan pemantauan BMKG, status siklon ini naik dari kategori 1 ke kategori 2.
“Saat ini ada tiga siklon yang mengepung Indonesia, Bapak Presiden. Yang pertama, Siklon Bakung,” kata Faisal.
BMKG memprediksi siklon Bakung ini dapat bergerak mendekati wilayah Indonesia, sehingga akan terus dipantau selama dua sampai tiga hari mendatang. Ia berharap siklon ini tidak masuk ke Indonesia, sehingga tidak memengaruhi curah hujan.
“Kami akan pantau terus dinamikanya, harapannya tidak masuk hingga mendekat lagi yang akan memengaruhi curah hujan,” tuturnya.
Sementara itu, bibit siklon 93S terpantau di Bali, Nusa Tenggara, dan Jawa Timur. Di selatan Papua, terpantau ada bibit siklon 95S.
Faisal mengatakan keberadaan bibit siklon dan siklon ini meningkatkan kondisi curah hujan tinggi hingga sangat tinggi. Selain itu juga meningkatkan potensi gelombang tinggi di perairan sekitar.
“Kami sudah menyampaikan, bekerja sama dengan BNPB, BPBD, serta Basarnas, untuk masyarakat tetap tenang selama kita dapat memantau kondisi dan selalu bersiap untuk curah hujan tinggi dan gelombang tinggi,” tegasnya.
Ia pun memastikan Indonesia tidak sendirian menghadapi kepungan tiga siklon ini. Faisal menyampaikan Indonesia telah ditunjuk oleh Organisasi Meteorologi Dunia (World Meteorological Organization/WMO) sebagai ‘Tropical Cyclone Warning Center’.
Indonesia terus berkomunikasi dengan Australia, Jepang, dan India untuk menentukan kondisi siklon tropis Bakung yang sekarang mendekat ke arah Indonesia.
“Bahkan sempat tercatat pada 14 Desember dia (siklon Bakung) masuk ke kategori 3, dengan kecepatan angin mencapai 65 knot. Ini sangat berbahaya, tapi turun lagi ke kategori 2 dan sekarang harapannya sudah mendekat ke kategori 1,” kata Faisal.